Developer-ready Gr2 Land Assembly | Parkhill | ±1 844 M2 | R2,650,000 (excl. Vat)

Ref # 2430859 : Park Hill » Durban North » Kwazulu Natal

R 2,650,000

Ashish Saniparsad

Property Specialist
Tel: 0824517789
Please enter a valid name.
Please enter a valid email address.
Please enter a valid contact number.
Please enter your message.

By clicking on submit, you agree to our privacy policy

Property Alerts

Receive email alerts for properties matching your criteria.

Repayments

Calculate your monthly repayments on your home loan.

Property Details

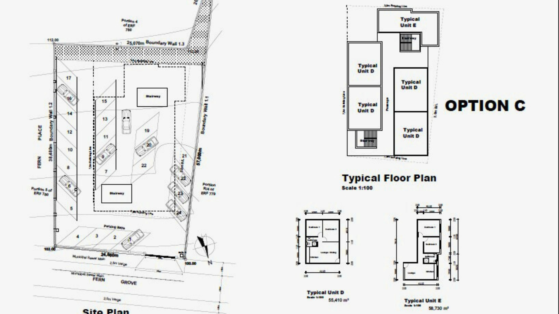
Dual-frontage serviced ±1,844 m2 GR2 site - ideal townhouse infill or private consolidation in Parkhill.

An assembled ±1 844 m2 GR2 land parcel in Parkhill (Durban North) - two adjacent plots sold together under an exclusive mandate. The site benefits from dual street frontage and existing services on the primary stand (water, sewer, electricity). The current improvement is not economically viable, presenting a clean redevelopment canvas.

Why it works:

GR2 + dual frontage reduces design/access friction.

Existing services shorten early-stage connections.

Near Chris Hani Road for direct arterial access into Durban North/eThekwini.

Conceptual scheme (guide only): ±25–30 units, subject to municipal approvals. Indicative land rate - R1,437/m2.

Audience fit:

Developer/Investor: Small-scale townhouse or sectional-title scheme.

Owner-occupier: Consolidate for an expansive family estate with future subdivision potential.

Price & Availability:

R2,650,000 (excl. VAT). Vacant; immediate occupation on transfer.

Sale pack & due diligence:

Title & operating-cost particulars, zoning extract, services confirmation, site aerial/overlay and a one-page feasibility sketch available on request. Subject to confirmation of servitudes and municipal planning requirements.

Property Features

  • Property Type Vacant Land Residential
  • Building Size 1,844m²
  • Stand Size 1,844m²

Associated Costs

  • Rates & Taxes ± 3753.16

Location